沅江市人民政府
关于沅江市2025年度第二批次建设项目
征收土地预公告
沅政土征字[2025]004号
根据《中华人民共和国土地管理法》《中华人民共和国土地管理法实施条例》《湖南省实施〈中华人民共和国土地管理法〉办法》有关规定,因公共利益需要,经沅江市人民政府研究决定,启动土地征收工作。现将有关情况公告如下:
一、征收目的
根据《中华人民共和国土地管理法》第四十五条的规定,本次征收土地目的为沅江市2025年度第二批次建设项目建设需要用地,规划用途为工业用地,具体建设内容为厂房建设,符合第四十五条第五款规定。
二、征收范围
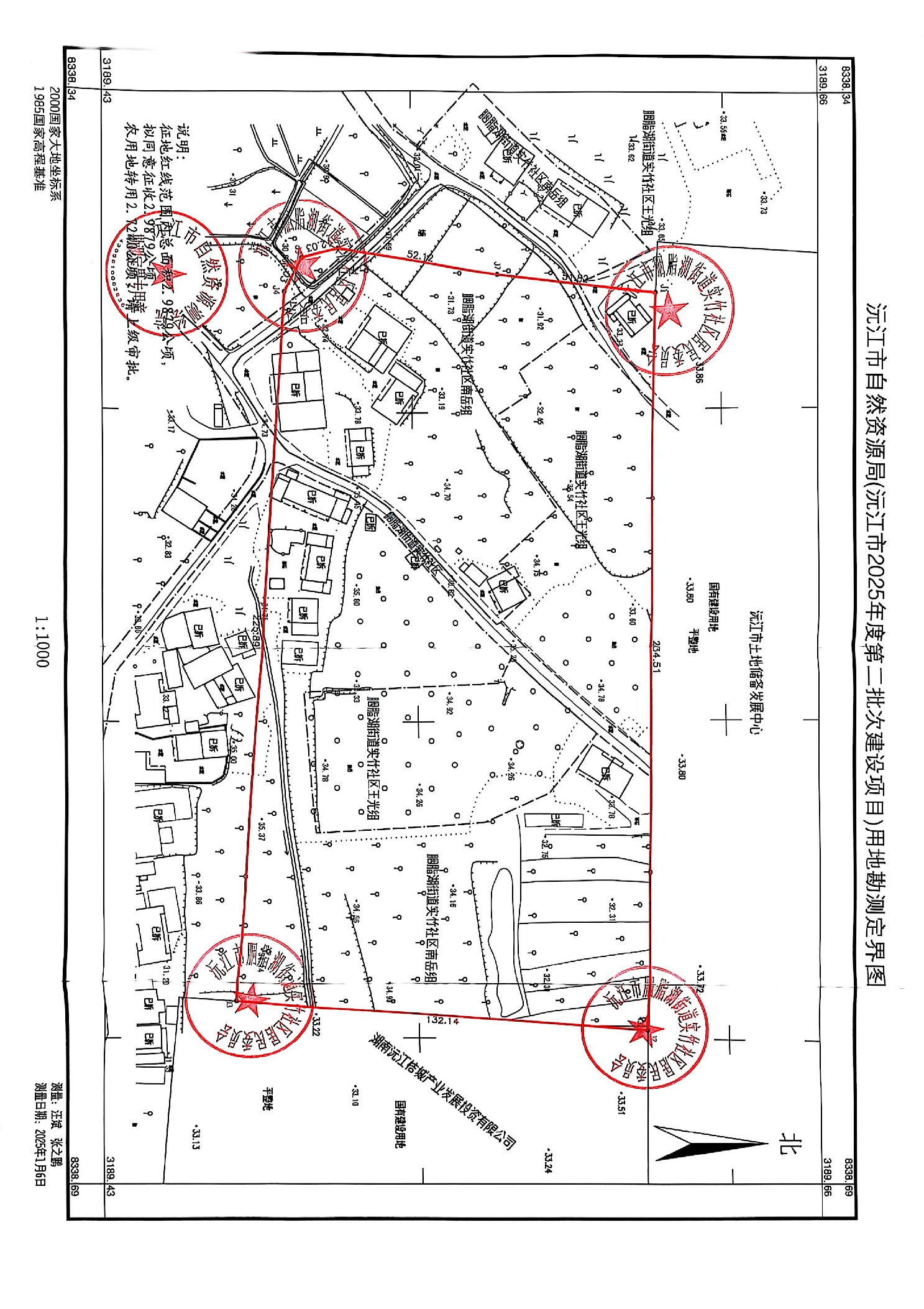
本次拟征收土地位于胭脂湖街道办事处实竹社区及实竹社区王光组、南岳组范围内,总面积2.9879公顷。拟征收土地位置详见勘测定界图。实际征收土地以最终批准文件为准。
三、公告期限
本公告在拟征收土地涉及的乡镇(街道)、村(社区)、村民小组范围内公告,时间不低于十个工作日。
四、工作安排
征收土地预公告发布后,沅江市人民政府将于2025年3月12日开展拟征收土地现状调查和社会稳定风险评估。开展拟征收土地现状调查内容包括:拟征收土地的权属、地类、面积以及农村村民住宅、其他地上附着物和青苗等的权属、种类和数量等。请土地所有权人、使用权人予以配合。拟征收土地社会稳定风险评估工作中,沅江市人民政府将听取被征地的农村集体经济组织及其成员、村民委员会和其他利害关系人的意见。
五、其他事项
自本拟征收土地公告发布之日起,任何单位和个人不得在拟征收范围内抢栽抢建,违反规定抢栽抢建的,对抢栽抢建部分不予补偿。
如对以上公告内容有疑问或异议,可向沅江市安置与征地拆迁事务中心反馈(异议反馈其他机构,需提供三定方案)。联系人:孙恩胜 电话:07372721577
特此公告。
附图:拟征收土地勘测定界图
沅江市人民政府
2025年2月 24日
